top of page

Soltys / Riverstone Crossing
25 Stony Run Road
January 2024 Update:
This Plan has received Final Plan Approval and land development is underway.
History:
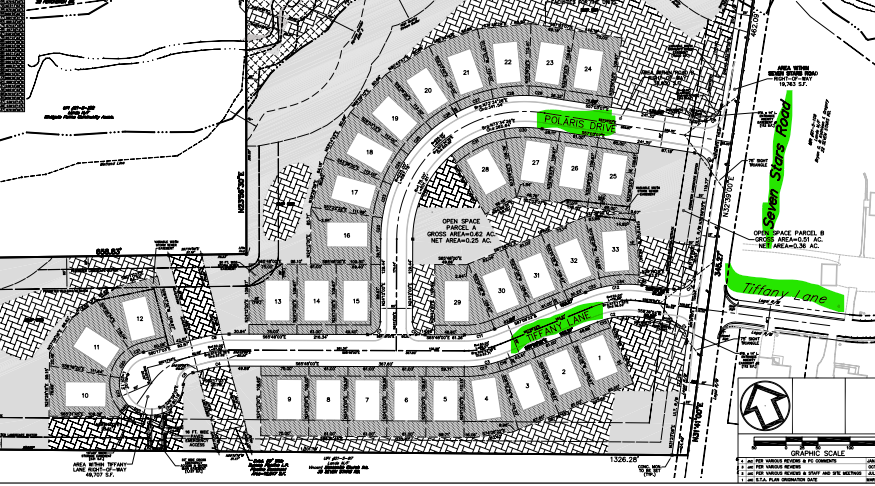
The Township received a combined Conditional Use and Preliminary Land Development application for 25 Seven Stars Road. The applicant proposed to construct thirty-three (33) single-family detached dwelling units, consisting of 21.06 gross acres.Â
The site is an open agricultural field with no improvements and contains three (3) existing easements; a 50-foot-wide gas pipeline easement in the west; a 20-foot-wide storm sewer easement in the northwest; and a 20-foot-wide sanitary sewer easement traversing through the norther portion of the tract.
Access the Plan Set and Township review letters to learn more.
bottom of page
